1958 Six Mile Lake Shore Island Georgian Bay, Ontario L0K 1S0
$479,000
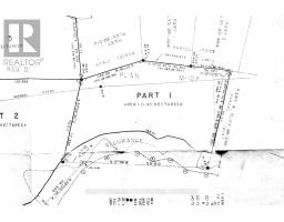
1958 Six Mile Lake Shore Cottage (Vacant Lot)Build your dream on this untouched 2.75 Acre building lot that has over 600 feet of private shoreline frontage. There are multiple building sites, that slope gently to the water. Easily serviced by Hydro at the rear of the property. The easterly view has spectacular sunrises that the early cottagers valued greatly. The sun rises to heat up the land quickly during the shoulder seasons, the prevailing winds (and storms) are at your back and the Evening "Gloaming" is a beautiful anticipated sight to behold .Although it is boat access, this property is mainland, and you can hike, ATV or snowmobile to the property. This is more than just a waterfront lot, it's your gateway to the coveted Muskoka experience, with great future potential. Six Mile Lake is a premier destination for those who demand to experience the best freshwater boating that Muskoka has to offer. Located within 2 hrs north of The GTA, 25 Min to Port Severn, 30 Min to Coldwater, 40 Min to Midland. And Orillia. Golf, downhill skiing & restaurants are also close by. Six Mile Lake has over 30% crown land reserve, and still has wild bays to drop anchor in. Good thermal stratifications, depths exceeding 150 ft, 2 inflows, 4 outflows, and a 5 cycle-annual flush rate, all helping to keep this lake very clean . Great Fishing - Lake Trout, Northern Pike, Smallmouth Bass, Walleye and more found in the lake. Six Mile Lake has a vibrant social community, annual events, include, regattas, BBQ's, fishing tournaments, music nights and art tours. Access is via either public boat launch (5min), Marina (5min), or Private Docking (id:63952)
Property Details
| MLS® Number | X12862176 |
| Property Type | Vacant Land |
| Community Name | Baxter |
| Easement | Unknown, None |
| View Type | Lake View, View Of Water, Direct Water View |
| Water Front Type | Waterfront On Lake |
Building
Parking
| No Garage |
Land
| Access Type | Water Access |
| Acreage | Yes |
| Size Depth | 315 Ft ,7 In |
| Size Frontage | 623 Ft ,4 In |
| Size Irregular | 623.36 X 315.62 Ft |
| Size Total Text | 623.36 X 315.62 Ft|2 - 4.99 Acres |
Contact Us
Contact us for more information
Steve Bennett
Salesperson
23 Coldwater Road
Coldwater, Ontario L0K 1E0
(705) 686-7500
(705) 686-7501





