48 Summer Leigh Trail Huntsville, Ontario P0B 1M0
$275,000
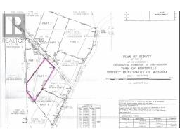
Large 3.04 acre lot on a quiet country road 15 minutes from Downtown Huntsville and 20 minutes from Bracebridge. This is a great location just 5 minutes from access to Highway 11. Well treed throughout with a good mixture of hardwoods and softwoods in a area of newer homes. The beautiful Port Sydney beach is just 10 minutes away as well. This site would be perfect for a year round home or weekend retreat until you can move to a Muskoka full time. There are several other lots available as well, so why not bring a friend or two. *HST does apply and is in addition to the purchase price. (id:63952)
Property Details
| MLS® Number | X12944646 |
| Property Type | Vacant Land |
| Community Name | Stephenson |
| Easement | None |
| Features | Wooded Area, Irregular Lot Size, Sloping, Rolling |
Building
| Basement Type | None |
| Cooling Type | None |
Parking
| No Garage |
Land
| Access Type | Year-round Access |
| Acreage | Yes |
| Size Depth | 493 Ft ,7 In |
| Size Frontage | 200 Ft |
| Size Irregular | 200 X 493.6 Ft |
| Size Total Text | 200 X 493.6 Ft|2 - 4.99 Acres |
| Zoning Description | Rr |
Utilities
| Electricity | Available |
| Electricity Available | Nearby |
https://www.realtor.ca/real-estate/29543265/48-summer-leigh-trail-huntsville-stephenson-stephenson
Contact Us
Contact us for more information
Rob Maclean
Salesperson
76 Centre Street North
Huntsville, Ontario P1H 2P4
(705) 789-9677
(705) 789-3770
www.rlpmuskoka.com/











